• Home
  • About Us
  • Calculators
  • Careers
  • Contact Us
  • Fact Checking Policy
Search
prtechnews.in Unthinkable and Beyond
  • Home
  • About Us
  • Calculators
  • Careers
  • Contact Us
  • Fact Checking Policy
Home Authors Posts by PR Tech News

PR Tech News

22042 POSTS 0 COMMENTS
Here US-Iran war is going on, on the other side North Korea tested dangerous missiles, know what is Kim Jong’s plan
Tech News

Here US-Iran war is going on, on the other side North Korea tested dangerous missiles, know what is Kim Jong’s plan

PR Tech News -
April 14, 2026
0
Access Denied
Tech News

Access Denied

PR Tech News -
April 14, 2026
0
Pope Leo visits Algeria in sign of Africa’s growing importance to Catholic church | Pope Leo XIV
Politics

Pope Leo visits Algeria in sign of Africa’s growing importance to Catholic church | Pope Leo XIV

PR Tech News -
April 14, 2026
0
Access Denied
Tech News

Access Denied

PR Tech News -
April 14, 2026
0
Man charged with attempted murder of OpenAI CEO Sam Altman | News
Politics

Man charged with attempted murder of OpenAI CEO Sam Altman | News

PR Tech News -
April 14, 2026
0
Access Denied
Tech News

Access Denied

PR Tech News -
April 14, 2026
0
Access Denied
Tech News

Access Denied

PR Tech News -
April 14, 2026
0
Us-iran Peace Talks: If Islamabad fails then next meeting could take place in Geneva, claims – America-Iran busy in preparation – Us-iran Peace Talks Next Meeting Could Take Place In Geneva News In Hindi
Tech News

Us-iran Peace Talks: If Islamabad fails then next meeting could take place in Geneva, claims – America-Iran busy in preparation – Us-iran Peace Talks Next Meeting Could Take Place In Geneva News In Hindi

PR Tech News -
April 14, 2026
0
Access Denied
Tech News

Access Denied

PR Tech News -
April 14, 2026
0
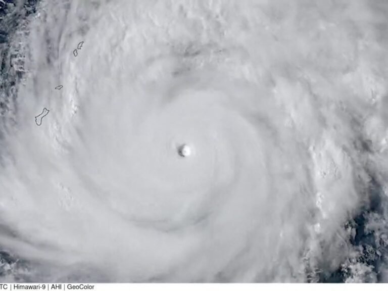
Super Typhoon Sinlaku bears down on Northern Mariana Islands, Guam | Weather News
Politics

Super Typhoon Sinlaku bears down on Northern Mariana Islands, Guam | Weather News

PR Tech News -
April 14, 2026
0
1...380381382...2,205Page 381 of 2,205
© Newspaper WordPress Theme by TagDiv